As the person who is responsible for initiating the requirement 22 in the Central Park findings, it is important for me to explain the rationale for my (I do not speak for the rest of the Planning Commission) behind it. Read on to see why I think connections between neighborhoods are important!
We are tasked with looking at developments in the city ostensibly per the comprehensive plan and the city code. There are numerous references in the 2009 Comprehensive Plan and the city code that give the Planning Commission broad guidance to look at these issues from a big picture standpoint.
Comprehensive Plan pages: 46, 49, 59, 60 and especially this:
9.2 From a regulatory approach, future development projects will be evaluated against their contribution to an area’s transportation performance broadly defined to include safety, transit ridership and cost effectiveness, heavy truck congestion, automobile congestion, bicycle and pedestrian circulation, and the existing nature and purpose of the surrounding road network. The City will develop regulations to implement this provision, which must include ensuring safe facilities for walking and cycling.
City Code: 20.24.120 – Blocks:
C. Pedestrian walkways through blocks not less than ten feet wide shall be required where deemed essential to provide circulation, or access to schools, playgrounds, shopping centers, transportation, and other community facilities.
It is through this lens when reviewing the Central Park development application that we attempted to provide for a non-vehicle connection.

As we all know, Annapolis is a “nook and cranny” kind of town, due in part from our colonial history and the geography of the area. This makes mobility and circulation for all modes of transportation challenging under the best of circumstances. One of the main consequences of these limitations is that most often everyone has to use the same routes whether they are on foot, bicycle, or in a car to everyone’s detriment. In a car going a little extra distance or on a busy road is not typically an issue (other than traffic of course, but that’s a different story), however, for non auto users, this can be inefficient at best or dangerous at worst.
This is also not just my opinion, the effect of lack of connections between neighborhoods is well known in city planning circles and contributes to mobility problems. There was a good article about this on the Strong Towns web site that describes the issues: You Care About the Subdivision Regulations, You Just Don’t Know It (Yet).
The key to success in providing non auto choices for short trips is a safe and efficient network for people on foot and bikes to get to places they want to go. So often we hear from people who would ride a bike a short distance (less than 2 miles which is around most of the city) “I’d be happy to ride my bike, but I don’t feel safe riding on busy roads with vehicle speeds much faster than I ride”.
When you think about this connection, think about the experience on Hilltop. While there is a bike lane, traffic travels considerably faster than an average adult or child riding a bike (ie not the spandex crowd) and that is a deal killer for a large segment of the population. This is especially true when you consider from the perspective of a resident in the new development who might want to make a trip to Eastport or downtown on a bike and would have to make two left turns across traffic on Hilltop v. a low stress route through the back streets. The two left turns are not a problem in a car, but quite the challenge on a bike at most times.
As someone who rides a bike as a primary mode of transportation, I experience this issue daily. However, there are a number of similar connections – some very visible, some known only to a few – that have provided such non-vehicular connections with no adverse effects and are definitely precedents consistent with the Planning Commission’s finding 22. They are:
- South Cherry Grove Street connecting the Homewood and Heritage neighborhoods and providing easy access to the south side of Forest Drive.
- Cul de Sac on Annapolis Neck Road and Quiet Waters Park Rd. which keeps people off Forest Drive in going from developments on the south side of Forest Drive to Quiet Waters Park.
- Shiley Street from the Navy housing on Badger Road to West Annapolis. This allows people easy access to the Naval Academy bridge from West Annapolis without going on MD 450 in addition to being a convenient non auto “short cut”.
- McGuckian Street near Ceremony Coffee Roasters provides a safe connection between Homewood and the fields at the Bates Legacy Center/Boys and Girls Club without having to use West Street.
- Victor Parkway has experienced no adverse effects after having the gate in the fence opened 6 years ago and the replacement of the fence with bollards last year. This provides a safe and efficient connection between neighborhoods and the Giant grocery store.
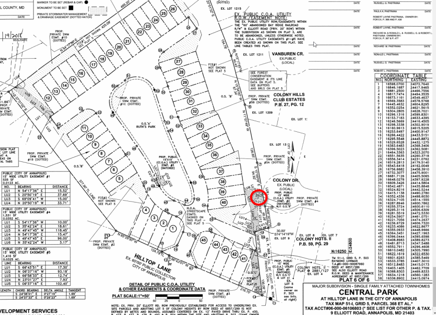
This safe, convenient and non vehicle connection from the Central Park development to the rest of Eastport is in the same vein as the ones I have mentioned. As a city, we need to encourage more of these which will benefit everyone.
I can certainly understand the objections of the Colony Hills residents and while there was no additional public testimony, their concerns were heard and what I said during our discussion was “the possibility of any kind of connection in the future goes away when the land is sold and becomes somebody’s property … given this [land] would be owned by the home owners association … it does provide in the future if homeowners association of Central Park and the Colony Hills folks in 25 years decide ‘jeeze I wish I could walk to see my neighbor’ and they decide mutually they want to do that, they can do that and it’s not walking through somebody’s back yard.” You can watch this part of the exchange with the developer’s attorney here: https://www.facebook.com/CityOfAnnapolis/videos/355182321712459/?t=4802
So nothing beyond the boundaries of the Central Park development will happen as there are other right of way issues, not to mention an existing fence whose ownership is unknown. I believe we are all at some kind of common understanding that provides that capability later if it is mutually acceptable, which is in my opinion a reasonable end.
[…] local level, whether it is value per acre analysis for a fast food restaurant special exception, neighborhood connections, street grids or even control issues with historic preservation rules. Writing and speaking […]
[…] local level, whether it is value per acre analysis for a fast food restaurant special exception, neighborhood connections, street grids or even control issues with historic preservation rules. Writing and speaking […]